Get $200 off this month when you try our services!
Signed in as:
filler@godaddy.com
Get $200 off this month when you try our services!
Signed in as:
filler@godaddy.com

New leadership, a new concourse, 17 new concessions and a new outbound baggage handling system — all punctuated by an anticipated record-breaking 4.5 million passengers — highlighted a year filled with accomplishments at Sarasota-Bradenton International Airport.
And it all sets the stage for an equally busy 2026.
By the time retired President and CEO Rick Piccolo handed the keys to his office to his successor, Paul Hoback, in October, SRQ:
Those four projects alone represent some $200 million in investment in the airport as its passenger count has more than doubled and continues to grow from the 1.9 million in the last pre-pandemic year of 2019.
“We will end the year with 11 airlines and 69 non-stop destinations,” said SRQ Executive Vice President and Chief of Staff Mark Stuckey. “We’ve added 12 new non-stop destinations for 2025, the latest two are Toledo and Miami with Miami being a hub for American Airlines. That is a great service when you can connect people beyond the city that somebody may be flying to as a destination.”
American also offers service to the hubs in Dallas and Charlotte. Allegiant, which leases the five ground boarding gates in Concourse A, added seven new routes in February plus the Toledo route later in the year.
More flights mean more passengers seeking better service in the terminal area and higher-end amenities in the concourses as SRQ competes with Tampa International Airport and Southwest Florida International Airport in Fort Myers. To shorten lines and control costs, SRQ added a 10th rental car vendor, SixT, this year. New dining options in Concourse B include Mattison’s, Huey Magoo’s Chicken, and the nearly completed Wahlburgers. Also soon to open is Motorworks Brewing, which will replace a temporary bar. At the far end of the concourse is The Salty Key bar and remaining in place is sandwich shop Jimmy John's.
Concourse A dining options include Patrick’s 1481 and Anna Maria Oyster Bar.
“We have great concessions that are open now, and that was one of the really big customer service conveniences that we've added in 2025 that has really changed the look and feel of our airport,” Stuckey said. “Passengers have come to expect a certain level of amenities at an airport, and we wanted to make sure we provided that.”
As SRQ leadership puts a wrap on 2025, it looks toward 2026. One reason Hoback was recruited from Pittsburgh International Airport is his experience in overseeing infrastructure expansion. Adding to his expertise is new Senior Vice President of Engineering, Planning and Facilities Robert Furr. He comes from Orlando International Airport, where he was vice president of engineering, and previously Tampa International Airport, where he served as senior manager of planning and design.
“Our new CEO brings a lot of experience with construction, and we've got (Furr) who just came on board, and he is really good, really sharp,” Stuckey said.
Together, they will lead the 2026 prime directives of planning for a new parking structure on the current short-term and rental car parking area and upgrading the baggage claim to add more capacity.
Current planning for the parking structure will serve the triple purposes of adding enough parking capacity for the foreseeable future on levels three through five, staging rental car operations on the ground level and moving baggage claim functions to the second level.
According to Stuckey, that planning will begin in early 2026 and take approximately a year, followed by several months to bid the project and upwards of 18 months to build at a cost of upwards of $250 million.
In the interim, baggage claim will require expansion, which may mean extending the terminal building or converting the current conveyor system to a more efficient model. Although the entire system may eventually be relocated to the parking garage, investing in the present remains necessary.
“We're four to five years out before we have our parking garage complete, but we have to fix the baggage claim issue in the meantime,” Stuckey said.
Since the start of the pandemic-induced rapid growth SRQ experienced over the past five years, the airport has scrambled to keep pace. Now with all the gate capacity needed for the next decade or more and upgraded concessions in place, the future turns toward enhancing the passenger experience to remain competitive.
“Right now, the customer experience at our airport is really good,” Stuckey said. “We have plenty of room in the ticket wing, quick processing and few lines. We have multiple escalators. We have plenty of checkpoint equipment machines and personnel to keep the flow going through quickly, and then once they're beyond the checkpoint it opens up into beautiful gate areas with plenty of concessions.”
author

For those working in the tourism marketing industry, forecasting is akin to gazing into a cloudy crystal ball.
Certainly there are expectations given scheduled corporate meetings at hotels, sports events planned for the region’s athletic facilities, advance bookings for accommodates and more. Still, a single global or weather event can disrupt even the best laid plans.
No one could have predicted, for example, that the pandemic years of 2020 through 2022 would bring the crush of tourists and relocations of those seeking a less-restrictive lifestyle. Nor could they have anticipated back-to-back-to-back tropical weather systems would cost an entire season of vacationers in 2024 and reluctant travel for a large portion of 2025.
Still, the work of Visit Sarasota County continues through it all, and even though factors such as the post-pandemic return to global travel and the 2024 hurricane season have resulted in fewer visitors in the inequitable comparisons to the Covid peak, those fewer visitors are spending more. And given the value the 6% accommodations tax, or bed tax, brings to the community, that’s the mission.
“We talk a lot about quality over quantity. We're residents, too. We would rather have fewer visitors spending more money than more visitors spending less money,” said Erin Duggan, the president and CEO of Visit Sarasota County, the county’s official tourism bureau. “We're not just resting on our laurels and getting who we get. We're being very strategic about who we're going after.”
To pursue those targeted markets, for fiscal year 2026 Visit Sarasota County received from the county about 13% of the projected accommodations tax revenue, or $8.1 million, of which $6.9 million is dedicated to promotions and nearly $1.2 million to recruiting sports competitions.
In return, VSC is credited with directly bringing about one-third of the county’s tourism plus a non-quantifiable number of visitors through ancillary awareness and repeat visitors. “But those meetings and those sports tournaments, they wouldn't be here but for us.” Duggan said.
Nor would they be here but for the hotels to accommodate them. Growth in that sector — even with the recent losses of the Hyatt Regency in downtown and the Sand Castle Resort on Lido Beach — Duggan said she expects a “flat” 2026 in terms of visitors, a welcomed trend from the declines of the prior to years.
That’s just fine with Art Ovation Hotel General Manager Wes Santos, who arrived here in 2021 with the Hyatt Regency.
“I came here just when things were getting crazy that summer,” said Santos, adding more hotels in the city’s inventory has helped boost visits and revenue. Both the downtown Embassy Suites and Art Ovation were opened in 2018, just in time for the pandemic rush.
“There's just so much more development in those four years happening downtown,” Santos said. “I look from our rooftop here and there's at least six cranes, so there is a confidence level that folks are continuing to come to the area.”
The opening of the St. Regis on Longboat Key, Duggan said, has boosted the bed tax revenue with its rates. A recent search of the hotel's website showed prices ranging from $1,137 per night for a guest room to $7,106 per night for a suite, 6% of that tourism tax revenue.
author

Water in 11-month-old Midnight Pass runs deeper, extends farther and flows through in greater volume these days than it has since October's Hurricane Milton finished the job September's Helene started by reopening the south Siesta Key waterway.
Now, more than 40 years since Midnight Pass closed the last time, Sarasota County leaders are devising plans to not only keep it open in the short term but also for the foreseeable future.
Less than three weeks after the Pass was torn all the way open by wind and waves on Oct. 10, 2024, survey teams began weekly measurements of its area, depth and flow at a consistent location. Those measurements indicate Midnight Pass might just stick around past infancy.
Among the most telling:
Although quick to caution about Midnight Pass’ young age and the natural fluctuations that come with coastal features of that age, evidence points to a relatively consistent, naturally made waterway, said Mike Jenkins, a senior principal engineer with ATM Geosyntech, a coastal management company hired by Sarasota County to keep tabs on Midnight Pass.
“To date, this pass has remained open post-Milton and is exhibiting behavior consistent with an evolving, unstabilized coastal inlet,’’ he said, explaining that only passes that have been engineered with jetties or dredging can be considered stabilized. “So, it is open as of post-Milton.''
The Sarasota County Commission heard Jenkins’ presentation on Tuesday as a portion of discussion on their role in keeping the Pass open. Inlet management is one of the most regulated segments of coastal engineering, commissioners were told, involving multiple state, local and even federal jurisdictions, they were told.
Permits can take years for full-scale dredging or structure building, Jenkins said. But the ongoing data collection, paid for with a state grant, is key to not only justifying potential efforts to keep the Pass open but also to signal when emergency action might be needed, action that is far more streamlined and without the same regulatory requirements.
Jenkins said the weekly surveys will allow experts to “raise our hands” if signs point to impending trouble.
.png/:/cr=t:0%25,l:0%25,w:100%25,h:100%25/rs=w:1240,cg:true)
Editor’s note: After 41 years on Siesta Key Beach, Ruberg announced his retirement in September 2025.
Anyone who has spent time at Siesta Key Public Beach has had some introduction to Scot Ruberg, 56, known by his beach name, “Scooter.” His long beach-bleached hair, tall coconut palm frond hat, perennial tan and sunniest of dispositions put you right in the mood for a beach day.
From snowy Canada to just around the corner, more than 20,000 people follow his Facebook video posts to get a glimpse of the ocean, hear the sounds of the waves and seagulls, and watch his beach report near his perch at the Magical Green Lifeguard Tower.
Many of these followers have never been to Siesta Key, or perhaps they’re once-a-year visitors, but his cheerful morning reports of blue water and white sand connect them to something restorative.
“It’s absolutely beautiful this morning,” he posted one day last winter. “Get out here before the rain starts. Get yourself a walk, go for a bike ride, just come and sit and drink your coffee and absorb the absolute beauty the mornings bring here. The sun’s coming up. Birds are singing. Have a great day.”
“His outlook is so refreshing,” says Sarasota resident Raymond Grimaldi, who remembers when Scooter started the page three years ago. “It’s little wonder that his vibe has caught fire.”
Originally from Illinois, Ruberg spent 10 years in Daytona Beach, attending college and lifeguarding. He came to Siesta Key back in the late ’80s for a lifeguard tournament, stepped on the sand and…
“My jaw dropped,” he says.
The white quartz sand, friendly people and beautiful blue water were just what he was looking for, so in 1994, he signed on as a Sarasota County lifeguard.
Jean Luc Provost comes down to his home here each winter, but Covid-19 has left him and his wife, Denyse, in the chill of his hometown of Montreal. The short minute or two daily videos on the Scooter of the Beach Facebook page warm his heart, if not his toes. He met Scooter, like many Siesta Key tourists do, at his green lifeguard tower.
“I took a picture of him with my granddaughter,” says luc Provost, who looks for the videos every morning. “We miss the place this year, and the videos keep us in touch with the beach.
In the world of professionally shot video, voiceovers and cleverly positioned advertising, Scooter of the Beach page stands out for its one-man-show approach. His videos are too short for Facebook advertisers, and despite the desire to monetize the page, he is resistant.
“It’s real,” Scooter says. “It’s impromptu. I make mistakes, and people laugh.”
The videos have a Garrison Keillor or Charles Kuralt feel to them, says Grimaldi.
“There is something significantly magical about the beach,” Grimaldi says. “I feel it. The various people I run into, they feel it as well. And Scooter is the perfect spokesperson for it.”
Scooter’s towheaded 9-year-old son, “Little Finn” (not his real name but one they use for the videos), sometimes pops up with his dad’s same happy disposition and wide smile. His wife, Mandy, tends to stay away from the videos, but is a big supporter of the page.
He travels from Casey Key to Longboat Key to give a beach report and loves to give shout-outs to Siesta Key businesses that he frequents. “It could be a lifeguard, a bartender, the guy renting bikes or renting boats,” he says.
The beach vibe extends to his house in Osprey. His yard is filled with colorful native plants and a tiki bar adorned with license plates from all over the world, given to him by his many fans, whom he calls “a tribe of people that just love Siesta Key.”
Eventually, he’ll retire and travel to beaches along Florida’s coasts to give reports on each beach with history, interesting facts and interviews. He hopes to make his travels into a coffee table book.
But for now, Scooter enjoys making his daily videos, knowing somewhere out there, someone is watching and smiling. More and more people stop by the Magical Green Lifeguard Tower to wave hello, having met him on the page.
“People come every year, and they say, ‘That old blond lifeguard is still here,’” he says. “I’ve been sitting in the same place for 25 years. I’ve watched families come each year; I take pictures with their kids. Now, their kids are bringing their kids.”
https://www.facebook.com/share/1BSE1hz3DT/

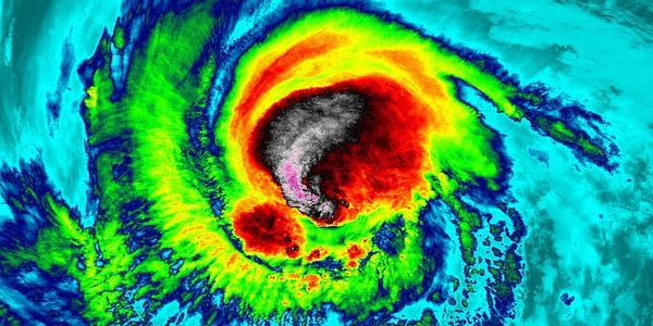
After an overly eventful 2024 hurricane season, 2025 came and went quietly for Florida.
The Atlantic hurricane season was from June 1 to Nov. 30. The number of named storms was 13, within the lower range of the National Oceanic and Atmospheric Administration’s predictions for the season in May. Thankfully, no hurricanes hit the continental United States. Tropical Storm Chantal, however, made landfall in the Carolinas.
The severity of the storms that did form was unique, with three Category 5 hurricanes: Erin, Humberto and Melissa. That is the second most since tracking began for the number of Category 5 storms in a single season. In 2005, there were four Category 5 storms.
Although the United States mostly escaped harm, Hurricane Melissa battered Jamaica with winds reaching 185 mph, tying for the second-highest wind speeds ever recorded in an Atlantic hurricane.
author

In 2025, more sea turtle nests were recorded on beaches from Longboat Key to Venice than Mote Marine Laboratory had ever noted in its decades of study, but the news was not all good for the region’s shoreline visitors.
A record number of turtle disorientations was also on record, raising concerns about humans’ effect on the nesting animals.
“It’s more important than ever for our community to turn off or shield beachfront lights, remove beach furniture at night, and keep nesting areas clear to give every hatchling the best possible chance at survival,’’ said Dr. Jake Lasala, Manager of Mote’s Sea Turtle Conservation and Research Program.
Disorientations take place when such distractions as artificial light on beachfronts misleads hatchlings or females attempting to return to the sea into heading the wrong direction. Such cases can lead to death, Mote said in a news release.
Mote documented 716 such events in 2025, the most in the organization’s 43 years of data gathering.
But, 5,735 turtle nests are documented over the same time span, breaking the 2024 mark of 4,369.
Loggerheads made up the bulk of the nesting turtles, but 351 green sea turtles also nested in the area monitored by Mote. Rare leatherback and Kemp’s ridley turtles sometimes come ashore in the area, but not in 2025, Mote said.
Data from Mote’s study — one of the longest running such endeavors in the United States — is used to help form coastal policy by local, state and federal authorities.
“This year’s record numbers show that Mote’s conservation measures are working,’’ Lasala said. “However, we’re seeing new challenges emerge, such as the rise in disorientations.’’
More than 300 volunteers, interns and staff, working under Mote’s permits and authority, walk beaches daily from April 15 through October, charting turtle data. Mote said some nests were uncommonly still incubating into November.
Beach2024 nests2025 nestsChange/Pct.Longboat Key1,2591,473214 16.9%Lido Key198186-12 (6%)Siesta Key502662160 31.9%Casey Key1,8302,727897 49%Venice58768497 16.5%Totals4,3765,7321,356 30.9%Source: Mote Marine Institute

Local real estate investor Chris Brown added to his Sarasota portfolio with the purchase of The Boatyard on the mainland of the Intracoastal Waterway next to the south Siesta Key bridge, according to a Friday news release from the brokerage that negotiated the sale.
The 2.03-acre property at 1538 Stickney Point Road includes "deeded canal-front access" to Sarasota Bay, Little Sarasota Bay and the Intracoastal Waterway.
Kevin Robbins and Troy Robbins, both of Sarasota-based Harry E. Robbins Associates Inc., facilitated the transaction.
The sales price for the Boatyard property was not disclosed. The deed had not yet been recorded with the Sarasota County Clerk of the Court.
“The Boatyard is an iconic property. This is a generational asset for someone to own and develop. There are not many opportunities to secure this kind of commercial property with frontage on the water, let alone a deeded canal access. The buyer is a well-established hospitality/restaurant operator with multiple locations,” Kevin Robbins said. “We are excited to see how this project will be improved and enhanced to benefit the community.”
The news release from the real estate firm also noted Brown will "enjoy ample opportunities for an upgraded, mixed-use waterfront development."
Tenants at the property include The Boatyard Waterfront Bar and Grill and Siesta Key Watersports.
"Brown and his team are finalizing plans to upgrade the complex and promote a more customer-friendly environment to benefit new and existing tenants," the news release said.
The redevelopment plan was not immediately available on Friday, but "full plans for renovation and tenant mix will be released soon."
“As a highly visible waterfront parcel so close to Siesta Key, this is obviously a very, very sought-after location. We fielded hundreds of requests for information on this listing, and we received multiple offers within a single week,” said Troy Robbins. “We only had three weeks to field offers, and we hosted multiple site visits with the buyers and the seller. Ultimately, we were able to put together a package offer that was acceptable for all parties — and all within that three-week window.”

Father and son rescue man on Siesta Beach
On the Monday evening of the long Labor Day holiday weekend, Jackie and Rob Eberley, who live on Midnight Pass, went to Siesta Beach with their 27-year-old son Gray who was visiting from New York City with his girlfriend. The group decided to take a quick early evening swim.
Jackie decided to stay on the beach. Rob and Gray went into the water for a swim.
Lifeguards had ended their patrol day at 5:00 p.m. and had left the beach.
The water, both Rob and Gray recalled, was choppy and conditions were windy. Rob, a marathon swimmer and member of the Siesta Beach open water swimming group “Meet Me at Blue,” named for the blue lifeguard chair on Siesta Beach, began swimming toward his son.
Suddenly, Rob heard a man yelling and flailing his arms in the air. “I quickly realized that he was in trouble and going under. The water was not clear, and it was hard to see.”
By the time Rob reached the man, whom both father and son believed to be in his 20’s or 30’s, he was, according to Rob’s estimation, about three feet under the water. “He was dead weight and in deep water” said Rob, who was not able to stand in the water himself. “I pulled him up in a cross arm carry and started swimming to shore. He wasn’t breathing.”
Gray, a certified rescue diver, looked over and saw that his father was making his way back to shore with a swimmer in distress. He quickly swam to his side.
“I thought to myself, that guy isn’t fooling around,” said Gray. “When I got to them they were both just about at standing level in the water. The swimmer’s head was rolled back, and his eyes were open. My dad kept telling him stay with me, stay with me.”
Without hesitation, Gray began to give the swimmer mouth-to-mouth resuscitation. “He came back to life after I gave him the rescue breath,” said Gray. “He spit up water.”
Still shaken days after the incident, Rob recalled his days as a lifeguard and said, “I never had to give anyone mouth-to-mouth. Gray saved his life.”
“It was all my dad,” Gray said. “He saw the guy first. Then, I saw him make a bee line for him. When we got to the edge of the beach, the guy tried to walk out of the water, but then he collapsed.”
“The lifeguards came with the paramedics on a Polaris, a beach ATV. They gathered around him, checked his pulse, and then took him away.” It happened so rapidly that both men as well as Jackie who was watching the event unfold, agreed that the lifeguards appeared in what seemed like moments.
“We were so relieved to see those lifeguards. They got there so quickly,” said Rob.
Jackie recalled seeing two young men on the beach as the event unfolded but it is unclear who called 911 for help.
According to a statement released by Sarasota County, “Sarasota County Fire Department personnel responded to a medical emergency on Siesta Beach around 5:42 p.m. on Sept. 2. One patient was transported to Sarasota Memorial Hospital.”
The next day, Jackie, who grew up on Siesta Key, returned to the beach and asked the lifeguard on duty at the blue chair if there was any news about the young man’s condition. She was told that due to privacy regulations, the lifeguards could not discuss his status. “Everything in life is just about the moment,” said Jackie. “We all got to the beach at just the right moment.”
Swimmers, Rob said, call rough water conditions like that Labor Day Monday evening a “washing machine.” Looking back, he recalled that although there were not rip tide conditions, the current was what he called “decent.” He said that it’s easy to understand how a less than strong swimmer could get scared and panic. “I recommend that bigger signs announcing the hours when there are no lifeguards on duty be posted,” he said.
“Be really aware,” Rob said, “no one’s strong forever. It’s important to respect the power of water.”
A week after the incident, Gray looked back on that day. Echoing his mother’s thoughts, he said, “God saved that man. It was just an impromptu visit to the beach, and we were all in the right place at the right time.”

Chamber hosts Safe Treats for Kids
Families can bring their little monsters trick-or-treating on Siesta Key at the Siesta Key Chamber of Commerce Annual Safe Treats for Kids event on Oct. 31 from 3-6 p.m.
This free event provides a safe venue for children to enjoy trick-or-treating at participating businesses. Simply look for the businesses displaying festive balloons and go on in.
Businesses wishing to participate need to register at the Chamber of Commerce website. Families and children wanting to participate, need not register.
Happy anniversary!
.
The Siesta Key Chamber of Commerce is celebrating the one-year work anniversary of Visitor Center & Volunteer Manager, Brittany Stokes.
An announcement released by the Chamber said, Brittany is a great asset to our team and does an outstanding job recruiting and training volunteers and overseeing the visitor center. Her motto is “how can I help” and goes above and beyond to enhance the guest experience.
Certainly, sounds like recognition well deserved. Thank you, Brittany – we appreciate you!
Copyright © 2024 Siesta Key Beach Social - All Rights Reserved K. Kelleher
Powered by Karen K Marketing Director
We use cookies to analyze website traffic and optimize your website experience. By accepting our use of cookies, your data will be aggregated with all other user data.